La construcción de la rotonda y el corredor peatonal comenzará a mediados de junio
Los trabajos, que tienen como objetivo mejorar la seguridad vial, se han adjudicado por 367.052,57 euros


Publicado el 28/05/2021 a las 12:35
Las obras para la construcción de una nueva rotonda y un corredor peatonal en Cárcar, en la carretera N-134, comenzarán a mediados del mes de junio. El Departamento de Cohesión Territorial ha adjudicado los trabajos a la empresa Construcciones BORESTE, por un importe de 367.052,57 euros (IVA incluido).
Esta actuación, que tiene un plazo de ejecución de 3 meses, contribuirá a la adecuación del acceso a la localidad desde Eje del Ebro, aumentando la seguridad vial tanto de peatones como de vehículos. Cabe recordar que esta vía separa el casco urbano de Cárcar del polígono El Mallatón y el campo de fútbol.
La intersección se resuelve actualmente con una glorieta partida en la que los viales de acceso o salida no intervienen en el tráfico de la NA-134. Por ello, la velocidad de los vehículos en tránsito es bastante elevada, lo que incrementa el riesgo de atropellos graves en una zona que registra un tránsito peatonal elevado. Además, no se dispone de pasos de peatones, por lo que es habitual que las y los viandantes crucen a pie la calzada, especialmente durante las horas de entrada y salida de las empresas y coincidiendo con los eventos deportivos.
Te puede interesar

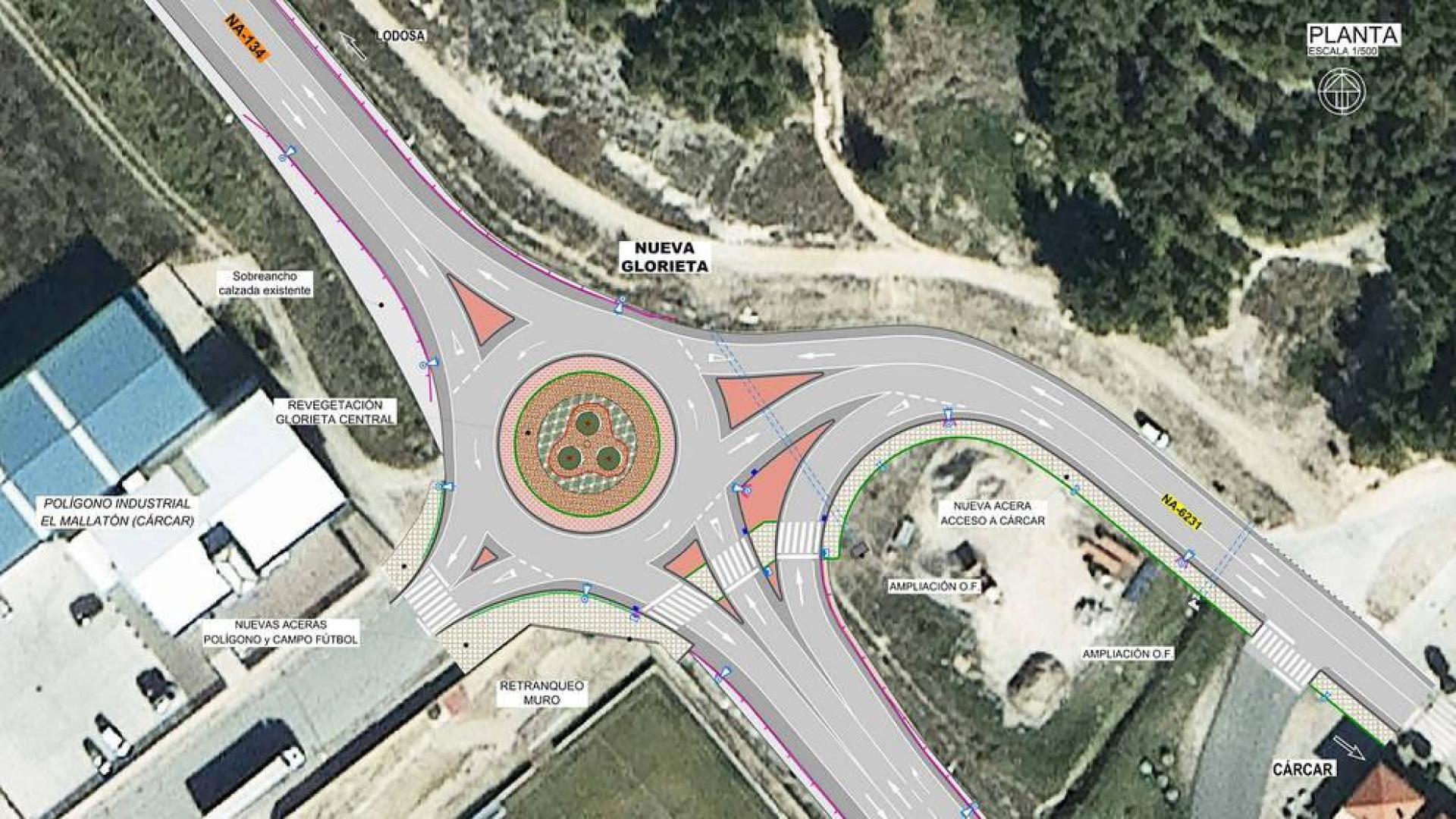
LOS DETALLES DE LA ACTUACIÓN
Las obras permitirán transformar la actual glorieta partida en una glorieta cerrada, que contribuirá a reducir la velocidad de circulación en este tramo y minimizará las probabilidades de colisiones frontolaterales.
Se construirá también un corredor peatonal desde el final de la actual acera en el núcleo urbano, en la calle Salvador Ordóñez, hasta la acera del polígono industrial, junto al campo de fútbol. El paso peatonal cruzará 3 calzadas, las dos de la NA-134 y el vial directo de entrada a Cárcar desde Andosilla. El proyecto incluye la reubicación de luminarias y farolas para favorecer la visibilidad del paso peatonal y una nueva señalización de la rotonda.
Cabe recordar que la carretera NA-134 Eje del Ebro registra un tráfico de 3.400 vehículos diarios en el tramo Cárcar-Lodosa, de los que un 11% se corresponden con vehículos pesados.
